Encanto Manor
Historic District Maps, Information and Homes For
Sale

Early History
Encanto Manor was part of a suburban estate developed
by James W. Dorris, a successful retail and wholesale
grocer. Dorris came to Phoenix and purchased an interest
in a small confectionery store in 1888. His business
increased steadily and by 1892, he established a grocery
at the southwest corner of First and Washington streets,
It was said to be the finest and largest grocery store
in the city and covered two floors and a large storage
room (Arline, A). He expanded into the wholesale market
and his business continued to increase.
In 1907, Dorris' success allowed him to purchase a
half-section (320 acres) of land bounded by 7th and 15th
avenues and McDowell and Thomas roads. In 1911, Dorris
hired a California architectural firm, Fitzhugh and
Fitzhugh, to design a large
Mission Revival style house
accessed from 7th Avenue (2712 N. 7th Avenue) by a
circular drive. His family moved into the house in 1912.
In 1926, Dorris announced plans to subdivide the
entire 320-acre "J. W. Dorris Addition" to include a
hotel and 18-hole golf course. The ambitious project
failed to materialize but Dorris began selling off
smaller parcels in a piecemeal fashion with strict
stipulations about the nature of development to take
place. Subdivisions cut from the Dorris tract became
among the most prestigious addresses in Phoenix. They
included the
Palmcroft and Encanto subdivisions. In 1934, Dorris
sold more than 100 acres to the city of Phoenix for
Encanto Park and the first nine holes of the Encanto
Golf Course (Phoenix Gazette, Section B). A strip along
7th Avenue was subdivided as
Encanto Vista shortly before his death in 1943
(Arizona State Historic Property Inventory).
By 1945, the Dorris' House, known as Casa de Rosas,
lay on a 2 ˝ acre parcel sold to the Congregational
Conference of Southern California and the Southwest.
Services for the Encanto Community Church were held in
the house and the minister and his family lived in the
upstairs before the carriage house was renovated for
their use. At the same time, the church sold land to the
west of the house to Delbert L. Stapley who subdivided
it for houses on Edgemont and Windsor. In 1950-51, the
church built a new sanctuary just south of the Dorris
House which now serves as a community center for the
congregation (Arline, B). Both the Dorris House and the
church lie in the Encanto Manor Historic District.
Mid-Century Development
In 1945, the Encanto Community Church sold a portion
of the remaining 2 ˝ acre Dorris home site to Delbert
and Ethel Stapley for subdivision as Encanto Dell.
Encanto Dell consisted of eight single-family lots on
Edgemont and Windsor streets (Thomas, Phoenix Historic
Preservation Office files).
At the same time, John H. Lester and L.M. Hamman
platted the Encanto Manor subdivision after years of
wrangling with the city. Lester and Hamman purchased the
land for $25,000 from the estate of James W. Dorris, who
originally planned to subdivide it himself. Lester and
Hamman initially offered to sell the land to the city
for $35,000, but the city declined. When public outcry
and demand led the city to agree to the deal, the
purchase price had increased so dramatically that a
condemnation suit was filed. The jury in the suit set
the purchase price at $60,000, a price the city was
still unwilling to pay. After World War II, Lester and
Hamman subdivided Encanto Manor into a 79-lot
single-family residential subdivision that accounts for
most of the district (Weight, January 11, 2006).
House lots in Encanto Manor are generous compared to
prevailing postwar standards, averaging approximately
8,700 square feet. Large lots accommodated significantly
larger houses than the average in the postwar era, which
attracted upper middle-class families to Encanto Manor.
Also, larger lots were more expensive, drawing people
with more money.
Principal selling points for Encanto Manor were its
location near a major public park and golf course
(Encanto Park and Golf Course), and Phoenix College.
Advertisements for Encanto Manor touted the
subdivision's "luxurious living" and that it was "just a
putt" away from the golf course. Although all
houses in Encanto Manor are near the golf course,
only those along the south side of Edgemont were
afforded golf course views, increasing the exclusivity
of this street.
Following pre-war tradition, many different builders
and architects contributed to Encanto Manor's
development, a fact that resulted in a variety of design
motifs and materials. Several notable builders and
architects were active in Encanto Manor. Builders
include David Murdock, C.L. Jones, A.B. Campbell, C.F.
Crittenden, E.J. Wasielewski, John H. Lester, D.L.
Brown, C.L. Maddox and F & S Construction. Significant
architects include Frederick Weaver, Benjamin Goor, M.E.
Lewis and Sam Hoffman.
Postwar houses in the
Encanto Manor Historic District are all variations
on the then-fashionable Ranch style which dominated
residential design after World War II. Encanto Manor's
Ranch style houses are all one-story, a hallmark of the
design. Most feature hipped roofs and steel casement
windows. Virtually all of the
historic district's houses are
masonry and more than two-thirds are rendered in brick
with the rest constructed of painted or stuccoed block.
Variations on the Ranch style found in the district
include
French Provincial,
as typified by the Carson House at 1320 W. Edgemont
Avenue, American Colonial, on the Divelbess House at 855
W. Edgemont Avenue, and
Transitional Ranch,
such as the Hensley House at 1321 W. Thomas Road. Brick
patterns and tile roof ridge caps are common ornamental
features found in Encanto Manor.
With only three exceptions: the 1911 Dorris House at
2710 N. 7th Avenue and two houses built in the 1970's,
Encanto Manor was fully developed between 1945 and 1960.
In fact, Encanto Manor was largely constructed within a
five -year period, between 1945 and 1950. During that
brief time, 69 resources including the church were
completed. An additional 13 houses were constructed
between 1951 and 1960. Only two houses were constructed
after the period of significance, and both follow Ranch
style traditions. With the exception of the Dorris
House, all construction occurred within a thirty-year
period of time. The district has been well maintained in
the ensuing decades and none of the houses have been
demolished. Alterations have generally been limited to
window, porch post, and roofing material replacements,
enclosure of carports, and the application of paint or
stucco on masonry walls. The district retains a high
level of integrity with 85% of resources contributing to
the historic character of the neighborhood.
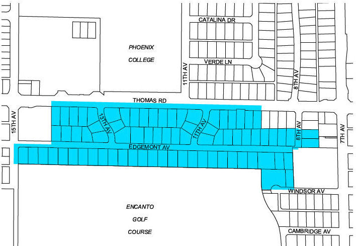
Information, maps provided courtesy: Historic
Preservation Office of the City of Phoenix
Neighborhood Services Department 200 West Washington
Street
Phoenix, Arizona 85003
When developers began planning Encanto Manor after
World War II, they enticed homeowners with promises of
"luxurious living."
They offered generous lots that could accommodate
rambling, custom-designed ranch-style homes and ample
front yards. Would-be residents could also take
advantage of one of the city's crown jewels just to the
south, the sprawling Encanto Park and its golf course.
Ultimately, developers built about 80 homes in
Encanto Manor, a neighborhood still largely intact and
unchanged. Well-kept homes, with welcoming front patios
and yards, line the streets. Residents can walk to such
neighborhood eateries as the Persian Garden Cafe or
shops like Southwest Gardener.
The centerpiece of the neighborhood remains the 1911
Dorris House, a stunning Mission Revival-style house
facing Seventh Avenue that is part of Encanto Community
Church.
James W. Dorris, a wealthy grocer, owned more than
300 acres of land in the area and had grand plans to
build a hotel and 18-holf golf course. But the project
never got off the ground, and Dorris ultimately sold off
land to developers for neighborhoods like Encanto Manor,
city historical records show.
Courtesy AZ
Central
|
P
Office
|